- (Προς Αντιπαροχή) Αξιοποιήσιμη Γη Οικόπεδο || Αθήνα Κέντρο/Αθήνα - 163 τ.μ, 1€

Έτος Κατασκευής:
Σ.Δ.: 3
Σ.Κ.: 70
Χρήση Γης: Αμιγής Κατοικία
Σχέδιο Πόλεως: Εντός σχεδίου
Κοντά σε: Metro,Super Market,Εκκλησία,Αγορά,Σχολεία,Συγκοινωνίες,Πλατεία

Επιπλέον Χαρακτηριστικά

Προσόψεως Γωνιακό Οικοδομήσιμο Κατάλληλο για αντιπαροχή Metro
 

Περιγραφή

Προς Αντιπαροχή, Αθήνα, Νέος Κόσμος-Κέντρο, Οικόπεδο, 163 τ.μ, Γωνιακό, χαρακτηριστικα: Οικοδομήσιμο, Metro, Επενδυτικό, Προσόψεως, Γωνιακό, Κατάλληλο για αντιπαροχή, Άγιος Γεώργιος,πλησίον Μετρό,γωνιακό οικόπεδο 163,07τμ,με 3 Σ.Δ.,και 70% κάλυψη,με διαστάσεις 13,03μ. Χ 12,43, δίδεται για αντιπαροχή, Σ.Δ: 3,  Σ.Κ: 70 Εντός σχεδίου Αμιγής Κατοικία, κοντά σε: Metro,Super Market,Εκκλησία,Αγορά,Σχολεία,Συγκοινωνίες,Πλατεία, τιμή: 1€. ΜΕΣΙΤΙΚΟ ΤΣΑΟΥΣΗΣ -  ΣΤΑΥΡΟΠΟΥΛΟΣ Ο.Ε., Καλλιρόης 41 Αθήνα- Φιξ, Τηλ: 2109224657, e-mail: info@mesitiko-athens.gr

Αναλυτική Περιγραφή

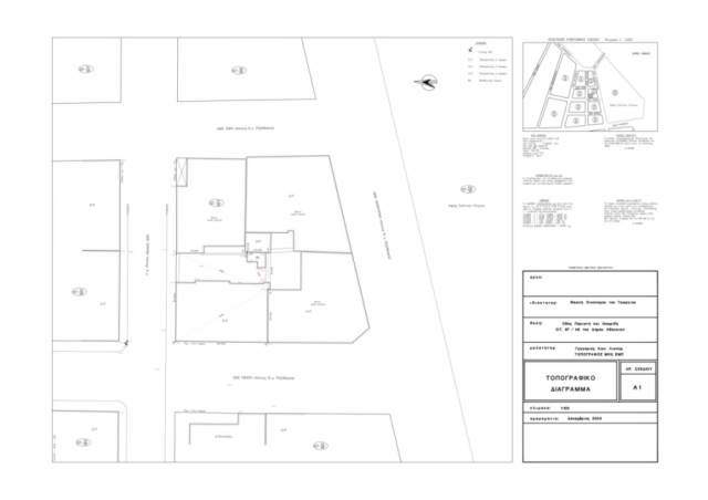
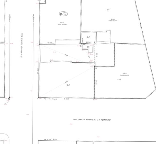
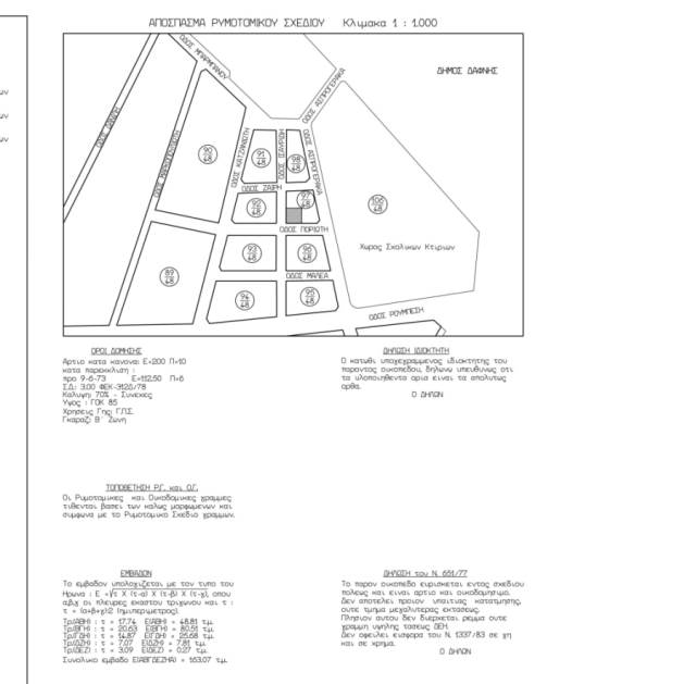
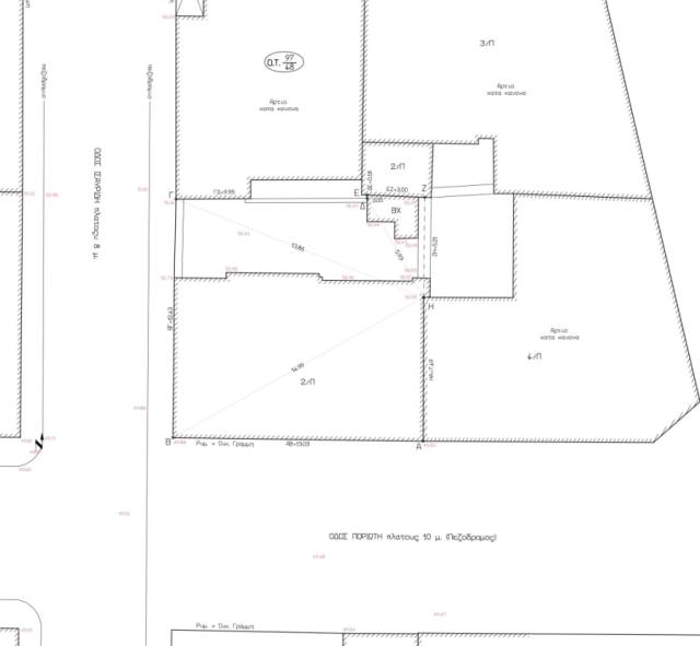
Άγιος Γεώργιος,πλησίον Μετρό-Τραμ,γωνιακό οικόπεδο 163,07τμ, με 3 Συντελεστή Δόμησης(χτίζει 490τμ),και 70% κάλυψη οικοπέδου,με διαστάσεις 13,03μ. Χ 12,43, με πλάτος δρόμων 10μ. από τον πεζόδρομο της Ποριώτη και 8μ. από Ισαυρίδη,με διώροφο κτίσμα 200τμ,κατασκευής 1958,δίδεται για αντιπαροχή

Χάρτης

Σημεία Ενδιαφέροντος

Κοντά σε: Metro,Super Market,Εκκλησία,Αγορά,Σχολεία,Συγκοινωνίες,Πλατεία

Στατιστικά Ακινήτου

Δημοσίευση Ακινήτου: 17 Δεκ, 2025
Τελευταία ενημέρωση: 17 Δεκ, 2025
Με Ενδιαφέρει Socialize it Δάνειο Εκτύπωση
Με Ενδιαφέρει το ακίνητο
Συμπληρώστε την φόρμα και πατήστε αποστολή. Τα πεδία με * είναι υποχρεωτικά
*
*

Εισάγετε τον κωδικό
Υπολογισμός Δανείου
Συμπληρώστε το Επιτόκιο (χωρίς το σύμβολο %} και τη Διάρκεια αποπληρωμής σε έτη. Αν επιθυμείτε μπορείτε να αλλάξετε και το ποσό
(%)
(έτη)

Χαρακτηριστικά

Περιοχή Αθήνα (Δ. Αθηναίων)
Υποπεριοχή Νέος Κόσμος-Κέντρο
Κατηγορία Αξιοποιήσημη Γη
Τύπος Οικόπεδο
Τιμή 1€
Εμβαδόν (τ.μ.) 163
Τιμή/τ.μ. 0€
ΠΕΑ
Κωδικός 47164
e-agentsID 1866861
Επικοινωνία


Λεωφόρος Καλλιρόης 41 & Ηρακλέους 1, Νέος Κόσμος 11743
210 9224657
693 6117773
info@mesitiko-athens.gr

Νόμισμα


Λεωφόρος Καλλιρόης 41 & Ηρακλέους 1, Νέος Κόσμος 11743
210 9224657
693 6117773
info@mesitiko-athens.gr

(Προς Αντιπαροχή) Αξιοποιήσιμη Γη Οικόπεδο || Αθήνα Κέντρο/Αθήνα - 163 τ.μ, 1€


Χαρακτηριστικά

Έτος Κατασκευής: Σ.Δ.: 3 Σ.Κ.: 70 Χρήση Γης: Αμιγής Κατοικία Σχέδιο Πόλεως: Εντός σχεδίου Κοντά σε: Metro,Super Market,Εκκλησία,Αγορά,Σχολεία,Συγκοινωνίες,Πλατεία
Περιοχή: Αθήνα (Δ. Αθηναίων) Υποπεριοχή: Νέος Κόσμος-Κέντρο
Κατηγορία: Αξιοποιήσημη Γη Τύπος: Οικόπεδο
Τιμή: 1€ Εμβαδόν (τ.μ.): 163
Τιμή/τ.μ. 0€ Υ/Δ:
Μπάνια: Όροφος:
ΠΕΑ: Κωδικός: 47164
e-agentsID: 1866861  

Επιπλέον Χαρακτηριστικά

Προσόψεως Γωνιακό Οικοδομήσιμο Κατάλληλο για αντιπαροχή Metro
 

Περιγραφή

Προς Αντιπαροχή, Αθήνα, Νέος Κόσμος-Κέντρο, Οικόπεδο, 163 τ.μ, Γωνιακό, χαρακτηριστικα: Οικοδομήσιμο, Metro, Επενδυτικό, Προσόψεως, Γωνιακό, Κατάλληλο για αντιπαροχή, Άγιος Γεώργιος,πλησίον Μετρό,γωνιακό οικόπεδο 163,07τμ,με 3 Σ.Δ.,και 70% κάλυψη,με διαστάσεις 13,03μ. Χ 12,43, δίδεται για αντιπαροχή, Σ.Δ: 3,  Σ.Κ: 70 Εντός σχεδίου Αμιγής Κατοικία, κοντά σε: Metro,Super Market,Εκκλησία,Αγορά,Σχολεία,Συγκοινωνίες,Πλατεία, τιμή: 1€. ΜΕΣΙΤΙΚΟ ΤΣΑΟΥΣΗΣ -  ΣΤΑΥΡΟΠΟΥΛΟΣ Ο.Ε., Καλλιρόης 41 Αθήνα- Φιξ, Τηλ: 2109224657, e-mail: info@mesitiko-athens.gr

Στατιστικά Ακινήτου

Δημοσίευση Ακινήτου: 17 Δεκ, 2025
Τελευταία ενημέρωση: 17 Δεκ, 2025
Συνολικές επισκέψεις:

Loading...