- (Προς Πώληση) Αξιοποιήσιμη Γη Οικόπεδο || Αθήνα Νότια/Άγιος Δημήτριος - 1.053 τ.μ, 1.800.000€

Έτος Κατασκευής:
Σ.Δ.: 1,4
Σ.Κ.: 40
Χρήση Γης:
Σχέδιο Πόλεως: Εντός σχεδίου
Κοντά σε: Super Market,Εκκλησία,Λεωφόρο,Σχολεία,Συγκοινωνίες,Πλατεία

Επιπλέον Χαρακτηριστικά

Προσόψεως Οικοδομήσιμο Επίπεδο Κατάλληλο για αντιπαροχή
 

Περιγραφή

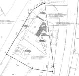
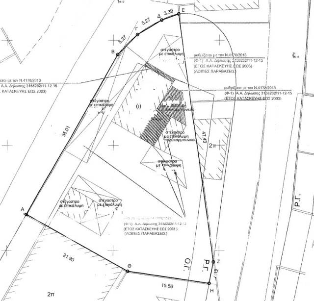
Προς Πώληση, Άγιος Δημήτριος, Κοψαχείλα, Οικόπεδο, 1.053 τ.μ, Διαμπερές, χαρακτηριστικα: Οικοδομήσιμο, Επενδυτικό, Προσόψεως, Επι Λεωφόρου, Επίπεδο, Κατάλληλο για αντιπαροχή, Αγ. Δημητρίου,οικόπεδο,1053τμ,εντός σχεδίου,επίπεδο,με 49μ. πρόσοψη, Σ.Δ 1,4,Σ.Κ. 40%, σε οικιστική περιοχή,καλό σημείο,δίδεται και για αντιπαροχή, Σ.Δ: 1,4,  Σ.Κ: 40 Εντός σχεδίου , κοντά σε: Super Market,Εκκλησία,Λεωφόρο,Σχολεία,Συγκοινωνίες,Πλατεία, τιμή: 1.800.000€. ΜΕΣΙΤΙΚΟ ΤΣΑΟΥΣΗΣ -  ΣΤΑΥΡΟΠΟΥΛΟΣ Ο.Ε., Καλλιρόης 41 Αθήνα- Φιξ, Τηλ: 2109224657, e-mail: info@mesitiko-athens.gr

Αναλυτική Περιγραφή

Αγίου Δημητρίου 271,οικόπεδο,1052,66τμ,εντός σχεδίου,άρτιο,οικοδομήσιμο,επίπεδο,προσόψεως,διαμπερές,πρόσοψη 49μ., Σ.Δ 1,4 , Σ. Κ 40% , σε οικιστική περιοχή, σε πολύ καλόσημείο, δίδεται και για αντιπαροχή

Χάρτης

Σημεία Ενδιαφέροντος

Κοντά σε: Super Market,Εκκλησία,Λεωφόρο,Σχολεία,Συγκοινωνίες,Πλατεία

Στατιστικά Ακινήτου

Δημοσίευση Ακινήτου: 27 Νοε, 2025
Τελευταία ενημέρωση: 27 Νοε, 2025
Με Ενδιαφέρει Socialize it Δάνειο Εκτύπωση
Με Ενδιαφέρει το ακίνητο
Συμπληρώστε την φόρμα και πατήστε αποστολή. Τα πεδία με * είναι υποχρεωτικά
*
*

Εισάγετε τον κωδικό
Υπολογισμός Δανείου
Συμπληρώστε το Επιτόκιο (χωρίς το σύμβολο %} και τη Διάρκεια αποπληρωμής σε έτη. Αν επιθυμείτε μπορείτε να αλλάξετε και το ποσό
(%)
(έτη)

Χαρακτηριστικά

Περιοχή Άγιος Δημήτριος (Δ. Αγ. Δημητρίου)
Υποπεριοχή Κοψαχείλα
Κατηγορία Αξιοποιήσημη Γη
Τύπος Οικόπεδο
Τιμή 1.800.000€
Εμβαδόν (τ.μ.) 1053
Τιμή/τ.μ. 1.709€
ΠΕΑ
Κωδικός 47119
e-agentsID 1863009
Επικοινωνία


Λεωφόρος Καλλιρόης 41 & Ηρακλέους 1, Νέος Κόσμος 11743
210 9224657
693 6117773
info@mesitiko-athens.gr

Νόμισμα


Λεωφόρος Καλλιρόης 41 & Ηρακλέους 1, Νέος Κόσμος 11743
210 9224657
693 6117773
info@mesitiko-athens.gr

(Προς Πώληση) Αξιοποιήσιμη Γη Οικόπεδο || Αθήνα Νότια/Άγιος Δημήτριος - 1.053 τ.μ, 1.800.000€


Χαρακτηριστικά

Έτος Κατασκευής: Σ.Δ.: 1,4 Σ.Κ.: 40 Χρήση Γης: Σχέδιο Πόλεως: Εντός σχεδίου Κοντά σε: Super Market,Εκκλησία,Λεωφόρο,Σχολεία,Συγκοινωνίες,Πλατεία
Περιοχή: Άγιος Δημήτριος (Δ. Αγ. Δημητρίου) Υποπεριοχή: Κοψαχείλα
Κατηγορία: Αξιοποιήσημη Γη Τύπος: Οικόπεδο
Τιμή: 1.800.000€ Εμβαδόν (τ.μ.): 1053
Τιμή/τ.μ. 1.709€ Υ/Δ:
Μπάνια: Όροφος:
ΠΕΑ: Κωδικός: 47119
e-agentsID: 1863009  

Επιπλέον Χαρακτηριστικά

Προσόψεως Οικοδομήσιμο Επίπεδο Κατάλληλο για αντιπαροχή
 

Περιγραφή

Προς Πώληση, Άγιος Δημήτριος, Κοψαχείλα, Οικόπεδο, 1.053 τ.μ, Διαμπερές, χαρακτηριστικα: Οικοδομήσιμο, Επενδυτικό, Προσόψεως, Επι Λεωφόρου, Επίπεδο, Κατάλληλο για αντιπαροχή, Αγ. Δημητρίου,οικόπεδο,1053τμ,εντός σχεδίου,επίπεδο,με 49μ. πρόσοψη, Σ.Δ 1,4,Σ.Κ. 40%, σε οικιστική περιοχή,καλό σημείο,δίδεται και για αντιπαροχή, Σ.Δ: 1,4,  Σ.Κ: 40 Εντός σχεδίου , κοντά σε: Super Market,Εκκλησία,Λεωφόρο,Σχολεία,Συγκοινωνίες,Πλατεία, τιμή: 1.800.000€. ΜΕΣΙΤΙΚΟ ΤΣΑΟΥΣΗΣ -  ΣΤΑΥΡΟΠΟΥΛΟΣ Ο.Ε., Καλλιρόης 41 Αθήνα- Φιξ, Τηλ: 2109224657, e-mail: info@mesitiko-athens.gr

Στατιστικά Ακινήτου

Δημοσίευση Ακινήτου: 27 Νοε, 2025
Τελευταία ενημέρωση: 27 Νοε, 2025
Συνολικές επισκέψεις:

Loading...