- (Προς Πώληση) Αξιοποιήσιμη Γη Οικόπεδο || Αθήνα Κέντρο/Αθήνα - 167 τ.μ, 250.000€

Έτος Κατασκευής:
Σ.Δ.: 3
Σ.Κ.: 70
Χρήση Γης: Αμιγής Κατοικία
Σχέδιο Πόλεως: Εντός σχεδίου
Κοντά σε: Metro,Super Market,Πάρκο,Συγκοινωνίες,Σχολεία,Πλατεία,Αγορά

Επιπλέον Χαρακτηριστικά

Προσόψεως Οικοδομήσιμο Επίπεδο Metro
 

Περιγραφή

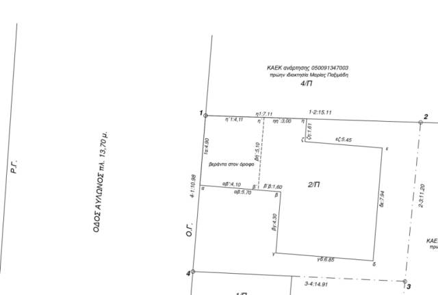
Προς Πώληση, Αθήνα, Σεπόλια, Οικόπεδο, 167 τ.μ, προσόψεως, χαρακτηριστικα: Οικοδομήσιμο, Metro, Επενδυτικό, Προσόψεως, Επίπεδο, Αυλώνος 132,έναντι Νέου πάρκου Κοροπουλη,οικόπεδο 167τμ,με 3 Σ.Δ.,και 70% κάλυψη,με παλαιό διώροφο κτίσμα 150τμ,700μ. από Μετρό Αγίου Νικολάου, Σ.Δ: 3,  Σ.Κ: 70, θέα :Μπροστά σε Πάρκο Εντός σχεδίου Αμιγής Κατοικία, κοντά σε: Metro,Super Market,Πάρκο,Συγκοινωνίες,Σχολεία,Πλατεία,Αγορά, τιμή: 250.000€. ΜΕΣΙΤΙΚΟ ΤΣΑΟΥΣΗΣ -  ΣΤΑΥΡΟΠΟΥΛΟΣ Ο.Ε., Καλλιρόης 41 Αθήνα- Φιξ, Τηλ: 2109224657, e-mail: info@mesitiko-athens.gr

Αναλυτική Περιγραφή

Αυλώνος 132,έναντι Νέου πάρκου Κοροπουλη,οικόπεδο 167τμ,με 3 Συντελεστή Δόμησης,και 70% κάλυψη οικοπέδου,με διαστάσεις 11μ. πρόσοψη και 15μ, βάθος,με παλαιό διώροφο κτίσμα 150τμ,σε απόσταση 700μ. από Μετρό Αγίου Νικολάου

Χάρτης

Σημεία Ενδιαφέροντος

Κοντά σε: Metro,Super Market,Πάρκο,Συγκοινωνίες,Σχολεία,Πλατεία,Αγορά

Στατιστικά Ακινήτου

Δημοσίευση Ακινήτου: 05 Δεκ, 2023
Τελευταία ενημέρωση: 29 Ιαν, 2026
Με Ενδιαφέρει Socialize it Δάνειο Εκτύπωση
Με Ενδιαφέρει το ακίνητο
Συμπληρώστε την φόρμα και πατήστε αποστολή. Τα πεδία με * είναι υποχρεωτικά
*
*

Εισάγετε τον κωδικό
Υπολογισμός Δανείου
Συμπληρώστε το Επιτόκιο (χωρίς το σύμβολο %} και τη Διάρκεια αποπληρωμής σε έτη. Αν επιθυμείτε μπορείτε να αλλάξετε και το ποσό
(%)
(έτη)

Χαρακτηριστικά

Περιοχή Αθήνα (Δ. Αθηναίων)
Υποπεριοχή Σεπόλια
Κατηγορία Αξιοποιήσημη Γη
Τύπος Οικόπεδο
Τιμή 250.000€
Εμβαδόν (τ.μ.) 167
Τιμή/τ.μ. 1.497€
ΠΕΑ
Κωδικός 40834
e-agentsID 1650049
Επικοινωνία


Λεωφόρος Καλλιρόης 41 & Ηρακλέους 1, Νέος Κόσμος 11743
210 9224657
693 6117773
info@mesitiko-athens.gr

Νόμισμα


Λεωφόρος Καλλιρόης 41 & Ηρακλέους 1, Νέος Κόσμος 11743
210 9224657
693 6117773
info@mesitiko-athens.gr

(Προς Πώληση) Αξιοποιήσιμη Γη Οικόπεδο || Αθήνα Κέντρο/Αθήνα - 167 τ.μ, 250.000€


Χαρακτηριστικά

Έτος Κατασκευής: Σ.Δ.: 3 Σ.Κ.: 70 Χρήση Γης: Αμιγής Κατοικία Σχέδιο Πόλεως: Εντός σχεδίου Κοντά σε: Metro,Super Market,Πάρκο,Συγκοινωνίες,Σχολεία,Πλατεία,Αγορά
Περιοχή: Αθήνα (Δ. Αθηναίων) Υποπεριοχή: Σεπόλια
Κατηγορία: Αξιοποιήσημη Γη Τύπος: Οικόπεδο
Τιμή: 250.000€ Εμβαδόν (τ.μ.): 167
Τιμή/τ.μ. 1.497€ Υ/Δ:
Μπάνια: Όροφος:
ΠΕΑ: Κωδικός: 40834
e-agentsID: 1650049  

Επιπλέον Χαρακτηριστικά

Προσόψεως Οικοδομήσιμο Επίπεδο Metro
 

Περιγραφή

Προς Πώληση, Αθήνα, Σεπόλια, Οικόπεδο, 167 τ.μ, προσόψεως, χαρακτηριστικα: Οικοδομήσιμο, Metro, Επενδυτικό, Προσόψεως, Επίπεδο, Αυλώνος 132,έναντι Νέου πάρκου Κοροπουλη,οικόπεδο 167τμ,με 3 Σ.Δ.,και 70% κάλυψη,με παλαιό διώροφο κτίσμα 150τμ,700μ. από Μετρό Αγίου Νικολάου, Σ.Δ: 3,  Σ.Κ: 70, θέα :Μπροστά σε Πάρκο Εντός σχεδίου Αμιγής Κατοικία, κοντά σε: Metro,Super Market,Πάρκο,Συγκοινωνίες,Σχολεία,Πλατεία,Αγορά, τιμή: 250.000€. ΜΕΣΙΤΙΚΟ ΤΣΑΟΥΣΗΣ -  ΣΤΑΥΡΟΠΟΥΛΟΣ Ο.Ε., Καλλιρόης 41 Αθήνα- Φιξ, Τηλ: 2109224657, e-mail: info@mesitiko-athens.gr

Στατιστικά Ακινήτου

Δημοσίευση Ακινήτου: 05 Δεκ, 2023
Τελευταία ενημέρωση: 29 Ιαν, 2026
Συνολικές επισκέψεις:

Loading...